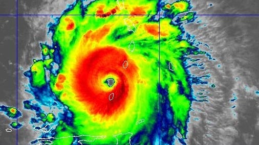
'An early and violent start': NOAA issues dire hurricane season forecast
In a revised forecast issued Thursday, the federal government still calls for an "extremely active" Atlantic hurricane season, one that could rank among the busiest on record.
Doyle RiceIn a revised forecast issued Thursday, the federal government still calls for an "extremely active" Atlantic hurricane season, one that could rank among the busiest on record.
The updated seasonal outlook now calls for 17 to 24 named storms to form, of which 8 to 13 will spin up into hurricanes. (An average year sees 14 named storms, of which 7 are hurricanes.)
Those numbers include the four storms that have already formed this year, including deadly and devastating Hurricane Beryl and the current system menacing the East Coast, Tropical Storm Debby.

'An early and violent start'
"The hurricane season got off to an early and violent start with Hurricane Beryl, the earliest category-5 Atlantic hurricane on record,” said National Oceanic and Atmospheric Administration head Rick Spinrad, in a statement. “NOAA’s update to the hurricane seasonal outlook is an important reminder that the peak of hurricane season is right around the corner, when historically the most significant impacts from hurricanes and tropical storms tend to occur.”
Weather alerts via text:Sign-up to get updates about current storms and weather events by location.
Overall, NOAA says there's a 90% chance of an above-average season, which is among the highest chances ever issued by the agency, lead seasonal hurricane forecaster Matthew Rosencrans told USA TODAY.
There's only a 10% chance of a near-normal season and a negligible chance of a below-normal season, he said. If predictions hold true, 2024 would be a record ninth consecutive year with above-normal activity.
Where is Hurricane Debby?Maps track path, flooding, rain, where it already hit
"We’re continuing to see the climatological hallmarks of an active season,” said Rosencrans. “Sea-surface temperatures remain abnormally high, and La Niña is still expected to emerge during the hurricane season, so the time to prepare is now.”
The latest on Debby:Tropical Storm Debby pounding North Carolina; death toll rises to 7: Live updates

Waiting for La Niña
Forecasters continue to await the official arrival of La Niña, the natural climate pattern that's marked by cooler-than-average sea water in the tropical Pacific Ocean. Predicted to form for several months now, the reason for its delay isn't entirely clear, said NOAA's Michelle L'Heureux.
La Niña tends to increase hurricane activity in the Atlantic, so its arrival is a key ingredient in how active the season is.
Specifically, the Climate Prediction Center Thursday said that while it's been delayed slightly, there is a 66% chance that the La Niña pattern will emerge sometime during the months of September to November. That's likely still in time for much of the second half of the hurricane season, Rosencrans said.
With the peak of the season approaching fast, NOAA urges everyone to know their risk, to prepare for threats and to have a plan in place.

Colorado State updates its forecast too
Colorado State University, which pioneered hurricane-season forecasts, slightly dialed back its predictions for the season compared with what it said earlier this year. The forecasting team, led by meteorologist Phil Klotzbach, now predicts 23 named storms will form, down from 25, with 12 becoming hurricanes.
Colorado State predicts six major hurricanes will form, which is one more than it forecast in April. A major hurricane is a Category 3 or above storm on the Saffir-Simpson Scale of Hurricane Intensity.
"We have maintained our forecast for an extremely active Atlantic hurricane season in 2024," CSU said in an online statement released this week.